
Acquired Date: June 2024
Status: Active
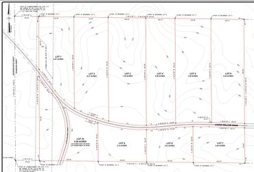
Total Acres: 56.67
Number of Lots Created: 10
Range of Lot Size: 3.01 - 7.59 acres








Copyright © 2024 Spectrum Land Group - All Rights Reserved.
Powered by Spectrum Land Group
We use cookies to analyze website traffic and optimize your website experience. By accepting our use of cookies, your data will be aggregated with all other user data.